조황관리HOME / 조황관리 / 상세정보

제목 : (은별호) 감성돔 선상조황입니다
등록일 : 2025-12-16


















#감성돔선상 

안녕하세요 

여수은별호입니다 

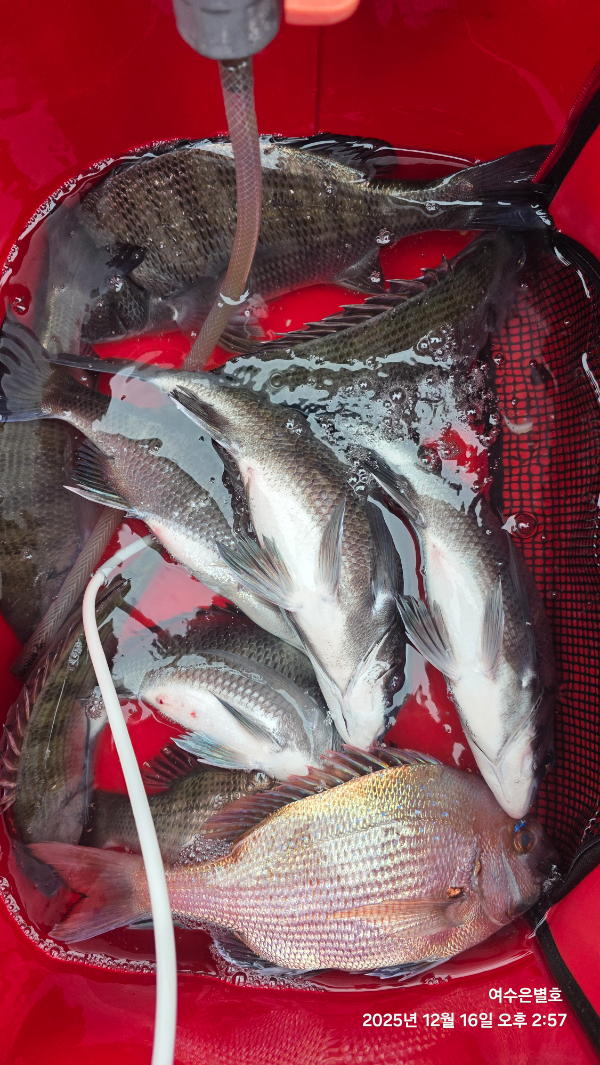
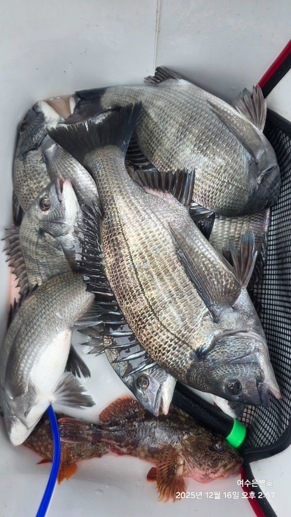
12/16 감성돔 선상조황입니다 

4짜외 중치급 마릿수 조황입니다 

내일17일은 개인사정으로 쉬고

18일 목요일 부터 쭉 출항합니다 

18일 목요일 3자리여유있습니다 
19일 금요일 3자리여유있습니다 
20일 토요일 1자리여유 있습니다 
21일 일요일 예약마감

오늘도 고생하셨습니다 가시는길 

안전운전하십시요 

출조문의
010 8376 0855



*** 여수 은별호 예약 안내 ***


예약문의 : 010-8376-0855

오시는길 : 전남 여수시 돌산읍 망월대길 38-2

홈페이지 : https://eunbyeol.sunsang24.com/


모바일.gif


Top