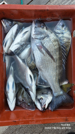
#감성돔선상 안녕하세요여수은별호입니다오늘조황입니다오늘은 날씨가 좋네요아쉽게 대물3방 터지고 난리가 아니네요채비를 튼튼하게 해주세요그래도 따문따문 나와주네요오늘도 고생하셨습니다 가시는길 안전운전하십시요출조문의010 8376 0855https://eunbyeol.sunsang24.com/*** 여수 은별호 예약 안내 ***예약문의 : 010-8376-0855오시는길 : 전남 여수시 돌산읍 망월대길 38-2홈페이지 : https://eunbyeol.sunsang24.com/
#감성돔선상 안녕하세요 여수은별호입니다 금일 감성돔 조황입니다4짜외 마릿수 조황입니다 오늘도 고생하셨습니다 가시는길 안전운전하십시요 12월1일월요일부터 자리여유있습니다 많은예약바랍니다 01083760855https://eunbyeol.sunsang24.com/*** 여수 은별호 예약 안내 ***예약문의 : 010-8376-0855오시는길 : 전남 여수시 돌산읍 망월대길 38-2홈페이지 : https://eunbyeol.sunsang24.com/
갯바위 선상 흘림 갑니다날만허락하면출동합니다*** 여수 창성호 예약 안내 ***여수 창성호 소수 인원이라도 항상 출조합니다☆출조 공지☆금오도,안도,연도 갯바위 선상 출조기상만 허락하면 출조합니다~~갯바위6만원선상8만원 (밉밥 미끼 도시락 본인지참)출조시간 !!!평일 새벽 05시:출발 ~15시철수토,일 새벽 05시출발~ 15시철수출발지: 군내항(돌산항) 여수시 돌산읍 군내리 1580문의 창성호 010-5814-0486 (거문도 독배 선상 갯바위 출조점 문의)섬섬낚시 크릴3000원 감성천하4000원 061-644-3363 (돌산읍 돌산로 3157)#창성피싱호 #군내항패키지출조 #금오도갯바위 #섬섬낚시 #거문도 #갯바위 #안도 #연도 #평도 #거문도 오시는길 : 전남 여수시 돌산읍 군내리 1580홈페이지 : https://changsung.sunsang24.com/
05시 출발 오후 3시철수 입니다*** 여수 창성호 예약 안내 ***여수 창성호 소수 인원이라도 항상 출조합니다☆출조 공지☆금오도,안도,연도 갯바위 선상 출조기상만 허락하면 출조합니다~~갯바위6만원선상8만원 (밉밥 미끼 도시락 본인지참)출조시간 !!!평일 새벽 05시:출발 ~15시철수토,일 새벽 05시출발~ 15시철수출발지: 군내항(돌산항) 여수시 돌산읍 군내리 1580문의 창성호 010-5814-0486 (거문도 독배 선상 갯바위 출조점 문의)섬섬낚시 크릴3000원 감성천하4000원 061-644-3363 (돌산읍 돌산로 3157)#창성피싱호 #군내항패키지출조 #금오도갯바위 #섬섬낚시 #거문도 #갯바위 #안도 #연도 #평도 #거문도 오시는길 : 전남 여수시 돌산읍 군내리 1580홈페이지 : https://changsung.sunsang24.com/
안녕하세요 여수 은별호입니다 28금요일 29일토요일 30일일요일자리여유있습니다 날씨도 좋아지네요근질근질 하신분들연락주십시요 01083760855https://eunbyeol.sunsang24.com/*** 여수 은별호 예약 안내 ***예약문의 : 010-8376-0855오시는길 : 전남 여수시 돌산읍 망월대길 38-2홈페이지 : https://eunbyeol.sunsang24.com/
#감성돔선상 안녕하세요 여수은별호입니다 오늘 감성돔6분 선상조황입니다 오늘도 고생하셨습니다 가시는길 안전운전하십시요 내일은 기상이 좋지않아 휴무하고 28일금요일부터 출항합니다 28일금요일부터 쭉 자리여유있습니다 출조문의 010 8376 0855https://eunbyeol.sunsang24.com/*** 여수 은별호 예약 안내 ***예약문의 : 010-8376-0855오시는길 : 전남 여수시 돌산읍 망월대길 38-2홈페이지 : https://eunbyeol.sunsang24.com/
금오도 안도 연도 갯바위 선상갑니다*** 여수 창성호 예약 안내 ***여수 창성호 소수 인원이라도 항상 출조합니다☆출조 공지☆금오도,안도,연도 갯바위 선상 출조기상만 허락하면 출조합니다~~출조시간 !!!평일 새벽 05:00 ~철수15시토,일 새벽 05:00~ 철수 15시요금 갯바위:6만원선상: 8만원 (밑밥 도시락 본인준비)출발지: 군내항(돌산항) 여수시 돌산읍 군내리 1580문의 창성호 010-5814-0486 (거문도 독배 선상 갯바위 출조점 문의)섬섬낚시 크릴3000원 감성천하4000원 061-644-3363 (돌산읍 돌산로 3157)#창성피싱호 #군내항패키지출조 #금오도갯바위 #섬섬낚시 #거문도 #갯바위 #안도 #연도 #평도 #거문도 오시는길 : 전남 여수시 돌산읍 군내리 1580홈페이지 : https://changsung.sunsang24.com/
안녕하세요여수은별호 입니다내일수요일 감성돔선상갑니다내일자리여유있습니다많은예약바랍니다010 8376 0855https://eunbyeol.sunsang24.com/*** 여수 은별호 예약 안내 ***예약문의 : 010-8376-0855오시는길 : 전남 여수시 돌산읍 망월대길 38-2홈페이지 : https://eunbyeol.sunsang24.com/
금오도 안도 연도 갯바위 선상갑니다*** 여수 창성호 예약 안내 ***여수 창성호 소수 인원이라도 항상 출조합니다☆출조 공지☆금오도,안도,연도 갯바위 출조기상만 허락하면 출조합니다~~출조시간 !!!평일 새벽 02:00 ~철수13시~14시토,일 새벽 24:00~ 철수 12~13시출발지: 군내항(돌산항) 여수시 돌산읍 군내리 1580문의 창성호 010-5814-0486 (거문도 독배 선상 갯바위 출조점 문의)섬섬낚시 크릴3000원 감성천하4000원 061-644-3363 (돌산읍 돌산로 3157)#창성피싱호 #군내항패키지출조 #금오도갯바위 #섬섬낚시 #거문도 #갯바위 #안도 #연도 #평도 #거문도 오시는길 : 전남 여수시 돌산읍 군내리 1580홈페이지 : https://changsung.sunsang24.com/
#감성돔선상 안녕하세요 여수은별호입니다 오늘 6분모시고 감성돔 선상 다녀왔습니다 5짜는 아니지만 4짜외 중치급 마릿수 했습니다참돔도 씨알 좋네요^^내일은 쉬어가고 26일수요일 부터 자리여유있습니다 오늘도 고생하셨습니다 가시는길 안전운전하십시요 많은예약바랍니다 010 8376 0855https://eunbyeol.sunsang24.com/*** 여수 은별호 예약 안내 ***예약문의 : 010-8376-0855오시는길 : 전남 여수시 돌산읍 망월대길 38-2홈페이지 : https://eunbyeol.sunsang24.com/
#감성돔선상 안녕하세요 여수은별호입니다 오늘 감성돔 선상 조황입니다 금일 4짜급은 나왔지만 마릿수가 조금 아쉬운 하루였습니다 오늘도 고생하셨습니다 가시는길 안전운전하십시요 내일 기상 좋습니다 내일 출조합니다많은예약바랍니다 010 8376 0855*** 여수 은별호 예약 안내 ***예약문의 : 010-8376-0855오시는길 : 전남 여수시 돌산읍 망월대길 38-2홈페이지 : https://eunbyeol.sunsang24.com/
#감성돔선상 안녕하세요 여수은별호입니다 22일 토요일 마릿수 조황입니다현재 기상으로 월요일 24일 기상좋습니다화요일은 바람이 많이 불어요^^월요일 출항합니다 많은예약바랍니다 010 8376 0855*** 여수 은별호 예약 안내 ***예약문의 : 010-8376-0855오시는길 : 전남 여수시 돌산읍 망월대길 38-2홈페이지 : https://eunbyeol.sunsang24.com/
금오도 안도 연도 갯바위 갑니다 *** 여수 창성호 예약 안내 ***여수 창성호 소수 인원이라도 항상 출조합니다☆출조 공지☆금오도,안도,연도 갯바위 출조기상만 허락하면 출조합니다~~출조시간 !!!평일 새벽 02:00 ~철수13시~14시토,일 새벽 24:00~ 철수 12~13시출발지: 군내항(돌산항) 여수시 돌산읍 군내리 1580문의 창성호 010-5814-0486 (거문도 독배 선상 갯바위 출조점 문의)섬섬낚시 크릴3000원 감성천하4000원 061-644-3363 (돌산읍 돌산로 3157)#창성피싱호 #군내항패키지출조 #금오도갯바위 #섬섬낚시 #거문도 #갯바위 #안도 #연도 #평도 #거문도 오시는길 : 전남 여수시 돌산읍 군내리 1580홈페이지 : https://changsung.sunsang24.com/
금 토 일 금오도 안도 갯바위 갑니다*** 여수 창성호 예약 안내 ***여수 창성호 소수 인원이라도 항상 출조합니다☆출조 공지☆금오도,안도,연도 갯바위 출조기상만 허락하면 출조합니다~~출조시간 !!!평일 새벽 02:00 ~철수13시~14시토,일 새벽 24:00~ 철수 12~13시출발지: 군내항(돌산항) 여수시 돌산읍 군내리 1580문의 창성호 010-5814-0486 (거문도 독배 선상 갯바위 출조점 문의)섬섬낚시 크릴3000원 감성천하4000원 061-644-3363 (돌산읍 돌산로 3157)#창성피싱호 #군내항패키지출조 #금오도갯바위 #섬섬낚시 #거문도 #갯바위 #안도 #연도 #평도 #거문도 오시는길 : 전남 여수시 돌산읍 군내리 1580홈페이지 : https://changsung.sunsang24.com/
안녕하세요여수은별호입니다내일 20일 목요일 자리여유있습니다내일 출조하실분은 연락주십시요출조문의010 8376 0855*** 여수 은별호 예약 안내 ***예약문의 : 010-8376-0855오시는길 : 전남 여수시 돌산읍 망월대길 38-2홈페이지 : https://eunbyeol.sunsang24.com/
금 토 일 금오도 연도 갯바위 갑니다*** 여수 창성호 예약 안내 ***여수 창성호 소수 인원이라도 항상 출조합니다☆출조 공지☆금오도,안도,연도 갯바위 출조기상만 허락하면 출조합니다~~출조시간 !!!평일 새벽 02:00 ~철수13시~14시토,일 새벽 24:00~ 철수 12~13시출발지: 군내항(돌산항) 여수시 돌산읍 군내리 1580문의 창성호 010-5814-0486 (거문도 독배 선상 갯바위 출조점 문의)섬섬낚시 크릴3000원 감성천하4000원 061-644-3363 (돌산읍 돌산로 3157)#창성피싱호 #군내항패키지출조 #금오도갯바위 #섬섬낚시 #거문도 #갯바위 #안도 #연도 #평도 #거문도 오시는길 : 전남 여수시 돌산읍 군내리 1580홈페이지 : https://changsung.sunsang24.com/
#감성돔선상 안녕하세요 여수은별호입니다 오늘 감성돔선상조황입니다 4짜이하 마릿수 조황입니다다음주 월요일17일 자리여유있습니다 출조문의010 8375 0855*** 여수 은별호 예약 안내 ***예약문의 : 010-8376-0855오시는길 : 전남 여수시 돌산읍 망월대길 38-2홈페이지 : https://eunbyeol.sunsang24.com/
#감성돔선상 오늘 감성돔선상조황입니다 물이안가서 걱정했는데 씨알은 좋네요4짜외 마릿수 조황입니다11월17일 월요일부터 자리여유있습니다 고기 나올때 손맛 보러가시죠오늘도고생 하셨습니다 가시는길 안전운전하십시요 출조문의010 8376 0855https://eunbyeol.sunsang24.com/*** 여수 은별호 예약 안내 ***예약문의 : 010-8376-0855오시는길 : 전남 여수시 돌산읍 망월대길 38-2홈페이지 : https://eunbyeol.sunsang24.com/
안녕하세요여수은별호입니다내일 감성돔 선상 나갑니다많은 예약 바랍니다010 8376 0855*** 여수 은별호 예약 안내 ***예약문의 : 010-8376-0855오시는길 : 전남 여수시 돌산읍 망월대길 38-2홈페이지 : https://eunbyeol.sunsang24.com/
#감성돔선상 안녕하세요 여수은별호입니다 금일 씨알.마릿수 조황입니다 씨알이 살짝 커졌네요 감성돔 42.돌돔32.등 나머지도 싸이즈가 커지네요 오늘도 고생하셨습니다 가시는길 안전운전하십시요 내일은 검진때문에 쉬고 목요일13일부터 출항합니다 손맛보러가시죠 출조문의 010 8376 0855*** 여수 은별호 예약 안내 ***예약문의 : 010-8376-0855오시는길 : 전남 여수시 돌산읍 망월대길 38-2홈페이지 : https://eunbyeol.sunsang24.com/
#감성돔선상 안녕하세요 여수은별호입니다 오늘 감성돔선상조황입니다 노을.바람 힘든하루였습니다 내일도 출항합니다 자리여유있습니다 많은예약바랍니다 출조문의010 8376 0855*** 여수 은별호 예약 안내 ***예약문의 : 010-8376-0855오시는길 : 전남 여수시 돌산읍 망월대길 38-2홈페이지 : https://eunbyeol.sunsang24.com/
#갑오징어 오늘 조황 입니다그동안 갑오징어 해주신분들께진심으로 감사드립니다 이번주 일요일부터 감성돔 찌낚시로 갑니다많은관심과 연락주십시요 010 8376 0855*** 여수 은별호 예약 안내 ***예약문의 : 010-8376-0855오시는길 : 전남 여수시 돌산읍 망월대길 38-2홈페이지 : https://eunbyeol.sunsang24.com/
#갑오징어 안녕하세요내일 갑오징어.6시출항 오후5시 철수입니다4 자리여유 있습니다 신발짝 잡으러가실분 늦게라도연락주세요출조문의010 8386 0855*** 여수 은별호 예약 안내 ***예약문의 : 010-8376-0855오시는길 : 전남 여수시 돌산읍 망월대길 38-2홈페이지 : https://eunbyeol.sunsang24.com/
#감성돔선상 안녕하세요여수은별호입니다오늘 감성돔 선상 조황입니다 오늘은 짝물 힘든하루였습니다 내일도 자리여유있습니다 늦게라도 연락주십시요 010 8376 0855*** 여수 은별호 예약 안내 ***예약문의 : 010-8376-0855오시는길 : 전남 여수시 돌산읍 망월대길 38-2홈페이지 : https://eunbyeol.sunsang24.com/
#감성돔선상 안녕하세요 여수은별호입니다 실시간조황입니다 지인 배타고 혼자 조황입니다내일 감성돔 2자리있습니다 많은예약바랍니다 010 8376 0855*** 여수 은별호 예약 안내 ***예약문의 : 010-8376-0855오시는길 : 전남 여수시 돌산읍 망월대길 38-2홈페이지 : https://eunbyeol.sunsang24.com/
#내만갈치 안녕하세요 여수은별호입니다 내일 내만갈치 출조 합니다근질근질 하신분들 내일 달려보시죠 내일 날씨좋습니다 연락주십시요 010 8376 0855*** 여수 은별호 예약 안내 ***예약문의 : 010-8376-0855오시는길 : 전남 여수시 돌산읍 망월대길 38-2홈페이지 : https://eunbyeol.sunsang24.com/
#감성돔선상 오늘 지인2분 감성돔 다녀왔습니다 감성돔 마릿수는 잘나오네요조망간 감성돔 출조예정입니다확정되면 바로공지 하겠습니다여수은별호 출조문의010 8376 0855*** 여수 은별호 예약 안내 ***예약문의 : 010-8376-0855오시는길 : 전남 여수시 돌산읍 망월대길 38-2홈페이지 : https://eunbyeol.sunsang24.com/
#갑오징어 어제. 조황입니다안녕하세요여수은별호입니다일요일 오전에 날씨가 도와 줘서이만큼 조황 나왔습니다화요일부터 달려보시죠 예약문의01083760855*** 여수 은별호 예약 안내 ***예약문의 : 010-8376-0855오시는길 : 전남 여수시 돌산읍 망월대길 38-2홈페이지 : https://eunbyeol.sunsang24.com/
월요일 화요일 내만갈치 갑니다*** 여수 창성호 예약 안내 ***여수 창성호 ☆출조 공지☆여수 내만갈치 출조기상만 허락하면 출조합니다~~출조시간 !!!평일 오후 18::30출발 ~철수 02시대상어종 (갈치)선상 내만갈치 7만원출발지: 군내항(돌산항) 여수시 돌산읍군내리1580문의 공지사항 :#내만갈치* 선사제공: 물, 음료, 커피* 채비캐스팅 지그헤드 10그람-20그람 텐빈 20호~40호 텐야 20g~80g 메탈(40g~80g) / 다단채비(내만 3단~5단)* 미끼 : 꽁치, 돼지고기, * 개인준비물 : 아이스박스,얼음 창성호 010-5814-0486 (독배 출조점 문의)섬섬낚시 061-644-3363 (돌산읍 돌산로 3157)#창성피싱호 #군내항패키지출조 #금오도갯바위 #섬섬낚시 #거문도 #내만갈치 #갈치 #여수#섬섬낚시 오시는길 : 전남 여수시 돌산읍 군내리 1580홈페이지 : https://changsung.sunsang24.com/
#내만갈치 안녕하세요 여수은별호입니다 오늘 내만갈치 조황입니다어제보다는 오늘 날씨가 않좋을거라 했는데나름 날씨가 좋았습니다 마릿수도 좋아 졌네요. 금일 가실분은 연락주십시요 010 8376 0855*** 여수 은별호 예약 안내 ***예약문의 : 010-8376-0855오시는길 : 전남 여수시 돌산읍 망월대길 38-2홈페이지 : https://eunbyeol.sunsang24.com/





























