조황관리HOME / 조황관리 / 상세정보

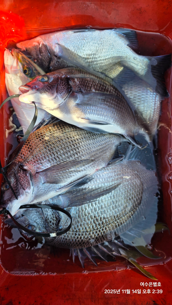
제목 : (은별호)감성돔선상조황입니다
등록일 : 2025-11-14


















#감성돔선상 

안녕하세요

 여수은별호입니다 

오늘 감성돔선상조황입니다 

4짜이하 마릿수 조황입니다

다음주 월요일17일 자리여유있습니다 
출조문의
010 8375 0855




*** 여수 은별호 예약 안내 ***


예약문의 : 010-8376-0855

오시는길 : 전남 여수시 돌산읍 망월대길 38-2

홈페이지 : https://eunbyeol.sunsang24.com/


모바일.gif


Top