조황관리HOME / 조황관리 / 상세정보

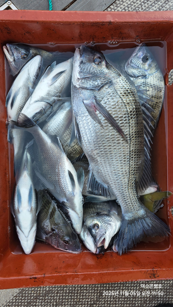
제목 : (은별호) 감성돔 실시간 조황입니다
등록일 : 2025-11-05






#감성돔선상 

안녕하세요 여수은별호입니다 

실시간조황입니다 

지인 배타고 혼자 조황입니다

내일 감성돔 2자리있습니다 

많은예약바랍니다 
010 8376 0855



*** 여수 은별호 예약 안내 ***


예약문의 : 010-8376-0855

오시는길 : 전남 여수시 돌산읍 망월대길 38-2

홈페이지 : https://eunbyeol.sunsang24.com/


모바일.gif


Top